U gebruikt een verouderde internetbrowser.
We raden u aan om de meest recente internetbrowser te installeren voor de beste weergave van deze website.
Een internetbrowser die up to date is, staat ook garant voor veilig surfen.

Reyerstraat, 3540 Herk-de-Stad
Vraagprijs: € 157.000

Omschrijving

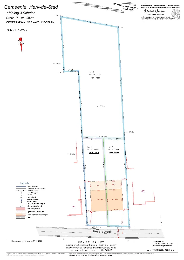
Bouwgrond voor een half open bebouwing te Herk-De-Stad

Deze half open bebouwing (LOT 1) in Herk-de-Stad is gelegen op een ruim perceel van 6a07ca.

De verkavelingsvergunning is in aanvraag.

De opstal zal nog door de verkoper worden afgebroken.

Mogelijkheid tot aankoop van het achterliggende LOT 3.

Prijs excl. verkavelingskosten en nutsvoorzieningen.

Heeft u interesse? contacteer ons op het nummer 011/96.49.96 of info@domovastgoed.be

Kenmerken

Algemeen

Adres:Reyerstraat
Herk-de-Stad
Referentie:TK/25/0921L
Vraagprijs:€ 157.000
Type:Grond
Beschikbaar vanaf:Bij akte
Perceeloppervlakte:607 m²
Perceelbreedte:12,18 m
Type constructie:Traditioneel
Gevelbreedte:9 m

Indeling

Tuin:Ja

Informatieplicht

EPC Certificaat Nr.:20240731-0003328363-RES-1
EPC Index:651,00 kWh/(m² jaar)
Energielabel:F
Renovatieplicht:Ja
EPC Geldig tot:31/07/2035
Stedenbouwkundige vergunning:Ja
Voorkooprecht:Neen
Verkavelingsvergunning van toepassing:Neen
Stedenbouwkundige bestemming:Woongebied met landelijk karakter
Dagvaarding en herstelvordering:Geen rechterlijke herstelmaatregel of bestuurlijke maatregel opgelegd
Overstromingsgevoelig:Geen overstromingsgevoelig gebied
Overstromingsgebied:Geen afgebakende zones
Overstromingskans perceel (P-score):B
Overstromingskans gebouw (G-score):A
Erfgoed:Geen beschermd erfgoed
Deze eigendom kan onderhevig zijn aan de renovatieverplichting die door de Vlaamse overheid wordt opgelegd voor residentiële gebouwen. Consulteer voor meer informatie de website van het Vlaams Energie- en Klimaatagentschap via https://www.vlaanderen.be/een-woning-kopen/renovatieverplichting-voor-residentiele-gebouwen

Ligging

Streetview

Downloads

Neem vrijblijvend contact op

Wenst u meer informatie of wilt u een bezoekmoment inplannen? Contacteer ons vrijblijvend voor meer informatie. 
Wanneer wij uw aanvraag hebben ontvangen zullen wij verder contact met u opnemen. 


U moet akkoord gaan met het privacybeleid van deze website
* Verplicht in te vullen
Niet gevonden wat je zocht? Schrijf je dan vrijblijvend in en blijf op de hoogte van ons recentste aanbod.
Schrijf je in
Terug naar boven
Sluit menu DOMO VASTGOED NV