U gebruikt een verouderde internetbrowser.
We raden u aan om de meest recente internetbrowser te installeren voor de beste weergave van deze website.
Een internetbrowser die up to date is, staat ook garant voor veilig surfen.

Stapstraat 39, 3540 Herk-de-Stad
Vraagprijs: € 199.000

Omschrijving

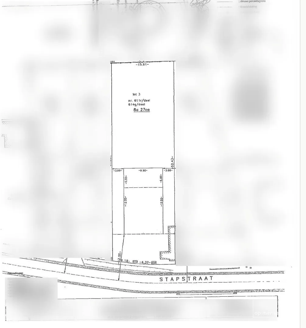
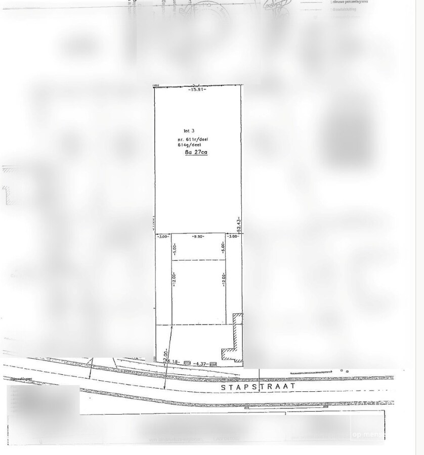
Ruim perceel van 8a27ca voor een open bebouwing te Schulen

Ben je op zoek naar een ideale plek om jouw droomwoning te bouwen? Deze mooi gelegen bouwgrond van 8a27ca in het gezellige Schulen biedt alle troeven voor wie rust, bereikbaarheid en een fijne leefomgeving wil combineren.

Het is gelegen in de rustige Stapstraat, een groene en kindvriendelijke buurt met weinig verkeer. Dankzij de vlotte verbindingen richting Herk-de-Stad, Lummen en Hasselt woon je landelijk zonder in te boeten op comfort.

Grijp je kans en bouw hier jouw ideale thuis!

vraagprijs excl. kosten verkavelingsakte en opmetingskosten.

Heeft u interesse? contacteer ons op het nummer 011/96.49.96 of jonas@domovastgoed.be


Kenmerken

Algemeen

Adres:Stapstraat 39
Herk-de-Stad
Referentie:TK/25/0923
Vraagprijs:€ 199.000
Type:Grond
Beschikbaar vanaf:Bij akte
Ligging:Landelijk, Aan rustige weg
Perceeloppervlakte:827 m²
Type constructie:Andere

Indeling

Tuin oriëntatie:West

Comfort

Snelweg:Ja
Treinhalte:Ja
Bushalte:Ja
Winkel:Ja
School:Ja
Kinderopvang:Ja
Bank:Ja
Ontspanning:Ja
Restaurant:Ja

Kadastrale gegevens

Niet geïndexeerd K.I.:€ 6

Informatieplicht

Stedenbouwkundige vergunning:Ja
Voorkooprecht:Neen
Stedenbouwkundige bestemming:Woongebied
Dagvaarding en herstelvordering:Geen rechterlijke herstelmaatregel of bestuurlijke maatregel opgelegd
Overstromingsgevoelig:Geen overstromingsgevoelig gebied
Overstromingsgebied:Geen afgebakende zones
Overstromingskans perceel (P-score):A
Erfgoed:Geen beschermd erfgoed

Ligging

Streetview

Neem vrijblijvend contact op

Wenst u meer informatie of wilt u een bezoekmoment inplannen? Contacteer ons vrijblijvend voor meer informatie. 
Wanneer wij uw aanvraag hebben ontvangen zullen wij verder contact met u opnemen. 


U moet akkoord gaan met het privacybeleid van deze website
* Verplicht in te vullen
Niet gevonden wat je zocht? Schrijf je dan vrijblijvend in en blijf op de hoogte van ons recentste aanbod.
Schrijf je in
Terug naar boven
Sluit menu DOMO VASTGOED NV